대한성형외과의사회 2024년 최우수회원 성형외과전문의 윤형우
대한성형외과의사회 2024년 최우수회원 성형외과전문의 손형빈
대한성형외과의사회 2025년 최우수회원 성형외과전문의 손형빈
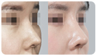
- 코재수술
- 코재수술
-

한나이브성형외과피부과
한나이브 상담신청
실시간 빠른 상담을 신청하시면 상담원이 신속히 답변해드리겠습니다.
한나이브성형외과피부과
한나이브 상담신청
실시간 빠른 상담을 신청하시면 상담원이 신속히 답변해드리겠습니다.
※ 시술 후 통증, 감염, 염증 등의 부작용이 발생할 수 있으니, 시술 전 해당 시술 부위에 대한 전문적인 지식을 갖춘 의료진인지 꼼꼼히 확인해보시길 바랍니다.






















